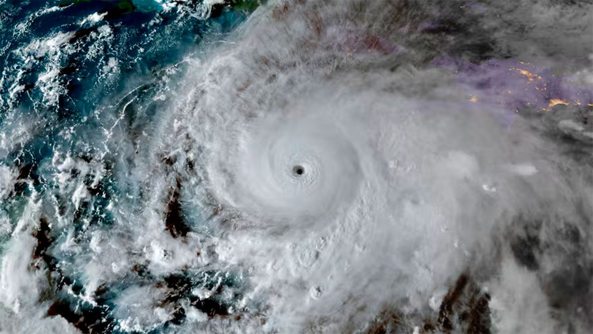
El ciclón, que alcanzó la categoría 5 con vientos de hasta 270 km/h, ya provocó muertes en el Caribe y se dirige hacia Cuba y las Bahamas.
El huracán Melissa comenzó a azotar Jamaica este lunes con violentas ráfagas, y el Centro Nacional de Huracanes de Estados Unidos (NHC, por sus siglas en inglés) lo elevó a categoría 5, con vientos sostenidos de hasta 270 kilómetros por hora. Se trata del fenómeno más poderoso que ha golpeado a la isla caribeña desde que existen registros meteorológicos.
HACÉ CLICK AQUÍ PARA UNIRTE AL CANAL DE WHATSAPP DE DIARIO PANORAMA Y ESTAR SIEMPRE INFORMADO
“No se aventuren fuera de su refugio seguro”, advirtió el NHC en su comunicado matutino y luego detalló sobre los “efectos catastróficos” que podría tener el huracán en Jamaica. Mientras, las autoridades jamaiquinas insistían en la urgencia de evacuar las zonas costeras. “Evacúen hoy, porque las condiciones van a deteriorarse”, remarcó la primera ministra Dana Morris Dixon, en un mensaje televisado que buscó convencer a los reacios a abandonar sus hogares.
En tanto, al menos tres personas murieron y otras trece resultaron heridas en distintas zonas del país caribeño durante las tareas de preparación previas a la llegada del huracán Melissa. Según informó el ministro de Salud, Christopher Tufton, las víctimas fallecieron por accidentes vinculados con la caída de árboles o descargas eléctricas, mientras que la mayoría de los heridos sufrió golpes y caídas al intentar asegurar viviendas.
Según el último parte del NHC, al mediodía del lunes Melissa se encontraba a 230 kilómetros al suroeste de Kingston y avanzaba lentamente hacia el oeste a unos 5 kilómetros por hora. Se espera que gire hacia el norte-noreste entre la noche del lunes y el martes, cruzando el territorio jamaiquino y luego desplazándose hacia el este de Cuba, las Bahamas y las Islas Turcas y Caicos, antes de dirigirse a las Bermudas hacia el final de la semana.
El lento desplazamiento sobre aguas excepcionalmente cálidas del Caribe permitieron que la tormenta se intensifique hasta niveles catastróficos. Los pronosticadores alertaron sobre la posibilidad de vientos devastadores, marejadas ciclónicas y hasta 90 centímetros de lluvia, lo que podría provocar inundaciones y deslizamientos de tierra de magnitud inédita.
“Esto provocará grandes daños en las infraestructuras, cortes de electricidad y comunicaciones de larga duración, y comunidades aisladas”, señaló el NHC. En las últimas horas, los efectos del huracán ya se sentían con fuerza en toda la isla.
“Estoy realmente preocupado por la gente. Necesitaremos ayuda lo antes posible, especialmente agua para la población”, dijo a la agencia AFP Enrico Coke, un agricultor que se refugió en un bar de Flagaman, en el sur del país.
En el pueblo montañoso de Hagley Gap, en las Montañas Azules, las lluvias torrenciales dejaron caminos intransitables. “No podemos movernos. Estamos asustados. Nunca habíamos visto un evento de varios días como este”, contó Damian Anderson, un profesor local de 47 años.
Jamaica ha enfrentado huracanes severos en el pasado —como el Gilbert, de categoría 4, en 1988—, pero nunca uno de categoría 5, la máxima en la escala Saffir-Simpson, reservada para vientos sostenidos superiores a los 250 km/h.
Más de medio millón de evacuados
Mientras Jamaica resiste el impacto directo, Cuba activó una operación de emergencia en su mitad oriental. Las autoridades informaron que más de 500.000 personas fueron evacuadas de zonas costeras y montañosas vulnerables a los vientos e inundaciones.
En los alrededores de Santiago de Cuba, ciudad de un millón de habitantes que se encuentra en la posible trayectoria del huracán, 250.000 personas fueron trasladadas a refugios. El gobierno suspendió clases, transporte público y actividades laborales en toda la región oriental.
“Esta es una apuesta que no se puede ganar. No se puede apostar contra Melissa”, advirtió el ministro de Gobierno Local jamaicano, Desmond McKenzie, al anunciar la apertura de cientos de refugios en todo el país.
El aeropuerto internacional de Kingston cerró el sábado por la noche, al igual que todos los puertos marítimos. Las autoridades meteorológicas prevén marejadas ciclónicas de hasta cuatro metros a lo largo de la costa sur, lo que podría agravar el impacto del temporal.
El huracán ya dejó cuatro muertos durante su avance por el Caribe: tres en Haití y uno en República Dominicana, donde además un adolescente se encuentra desaparecido. Las lluvias torrenciales de los últimos días provocaron aludes y crecidas repentinas en varios puntos de esos países.